Contact met de makelaar

Deze woning is gevonden buiten ons eigen netwerk. Met de knop hieronder kom je direct bij de aanbieder terecht.

Nieuw

Peellaan 89

Bekijk kaart
5691 LK Son en Breugel (De Gentiaan)
€ 489.000 k.k.
  • 138 m²
  • 5 kamers
  • 1971

Samenvatting

  • Deze woning wordt sinds 4 november 2025 aangeboden door Sol Makelaardij;
  • De hoekwoning heeft een woonoppervlakte van 138 m² en beschikt over 5 kamers, waarvan 4 slaapkamers;
  • De woning is gebouwd In 1971 en ligt in de buurt De Gentiaan in Son en Breugel;
  • De woning beschikt onder andere over de volgende voorzieningen: Bad, Kabel TV, Open haard, Douche, Bergruimte, Toilet.

Beschrijving

Meer woninginformatie bekijken?

Log in of registreer gratis.

Overdracht

Vraagprijs
€ 489.000 k.k.
Aangeboden sinds
04-11-2025
Status
Beschikbaar
Beschikbaar
In overleg
Onderhoudsstaat
Goed

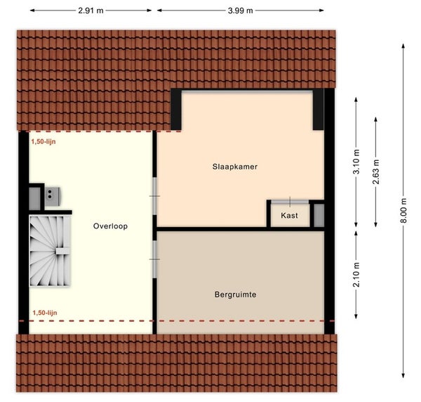
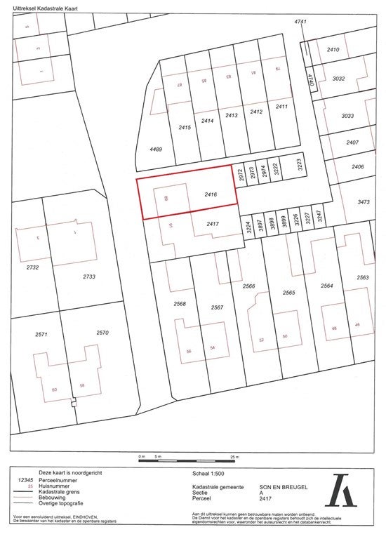
Oppervlakte en inhoud

Woonoppervlakte
138 m²
Perceeloppervlakte
264 m²
Inhoud
478 m³

Bouw

Type woning
Huis
Soort woning
Hoekwoning, Eengezinswoning
Soort bouw
Bestaande bouw
Bouwjaar
1971
Ligging
  • Aan een rustige weg
  • In een woonwijk
  • Nabij het openbaar vervoer
  • Nabij een school

Indeling

Aantal kamers
5
Aantal slaapkamers
4
Aantal badkamers
1
Aantal woonlagen
3
Voorzieningen
  • Bad
  • Kabel TV
  • Open haard
  • Douche
  • Bergruimte
  • Toilet

Buitenruimte

Balkon
Niet aanwezig
Tuin
Aanwezig (84 m², gelegen op het noordoosten)
Tuinbeschrijving
achtertuin
Dakterras
Niet aanwezig

Energie

Isolatie
Dubbele beglazing
Verwarming
Open haard
Warm water
CV-ketel
Cv-ketel
HR (Gas, uit 2024, Eigendom)
Energielabel
D

Parkeergelegenheid

Aanwezig
Ja
Soort parkeergelegenheid
Openbaar

Garage

Aanwezig
Ja
Meld een probleem met deze woning
Contact met de makelaar Bel