Contact met de makelaar

Deze woning is gevonden buiten ons eigen netwerk. Met de knop hieronder kom je direct bij de aanbieder terecht.

Greyenstraat

Bekijk kaart
5928 PM Venlo (Horsterweg)
€ 425.000 k.k.
  • 109 m²
  • 4 kamers
  • 2005

Samenvatting

  • Deze woning wordt sinds 2 maanden aangeboden door Hauzer & Partners;
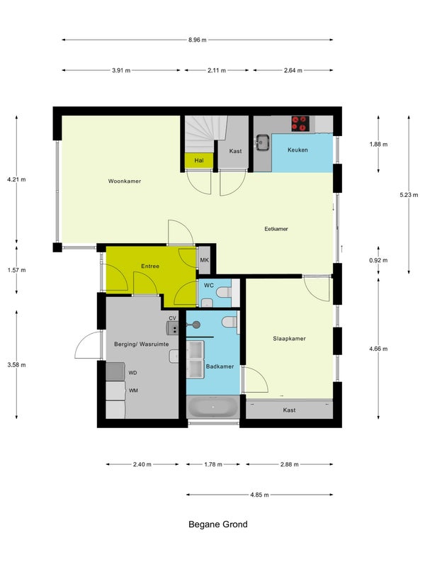
  • De tussenwoning heeft een woonoppervlakte van 109 m² en beschikt over 4 kamers, waarvan 3 slaapkamers;
  • De woning is gebouwd In 2005 en ligt in de buurt Horsterweg in Venlo.

Beschrijving

Deze levensloopbestendige twee onder een kapwoning, gebouwd in 2005, biedt comfort met een slaapkamer en badkamer op de begane grond, terwijl de verdieping nog twee extra slaapkamers heeft. De woning beschikt over een woonoppervlakte van 109 m² en een inhoud van 412 m³, gelegen op een perceel van 265 m². De entree leidt naar een hal met toilet en meterkast, een woonkamer met eiken parket en vrij zicht op een groenvoorziening, een L-keuken met moderne apparatuur, en toegang tot de onderhoudsarme tuin van het zuiden, voorzien van een ruime berging. Op de eerste verdieping zijn de twee slaapkamers bereikbaar via een overloop. De tuin biedt veel privacy en heeft een eigen toegangspoortje.

Overdracht

Vraagprijs
€ 425.000 k.k.
Aangeboden sinds
21-11-2025
Status
Beschikbaar
Beschikbaar
Per direct

Oppervlakte en inhoud

Woonoppervlakte
109 m²
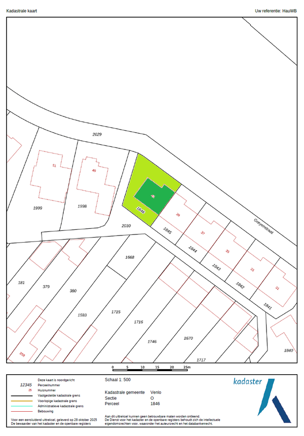
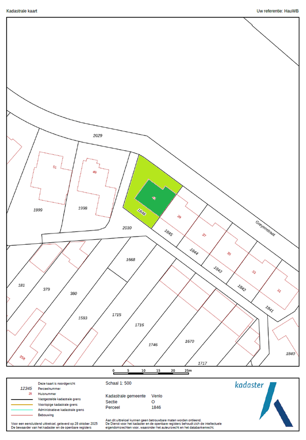
Perceeloppervlakte
265 m²

Bouw

Type woning
Huis
Soort woning
Tussenwoning (rijtjeshuis), Eengezinswoning
Soort bouw
Bestaande bouw
Bouwjaar
2005

Indeling

Aantal kamers
4
Aantal slaapkamers
3
Aantal badkamers
2

Buitenruimte

Dakterras
Niet aanwezig

Energie

Energielabel
A
Meld een probleem met deze woning