- 114 m²
- 7 kamers
- 1951
Samenvatting
- Deze woning wordt sinds 28 januari 2026 aangeboden door Hauzer & Partners;
- De tussenwoning heeft een woonoppervlakte van 114 m² en beschikt over 7 kamers, waarvan 3 slaapkamers;
- De woning is gebouwd In 1951 en ligt in de buurt Craneveld in Venlo.
Beschrijving
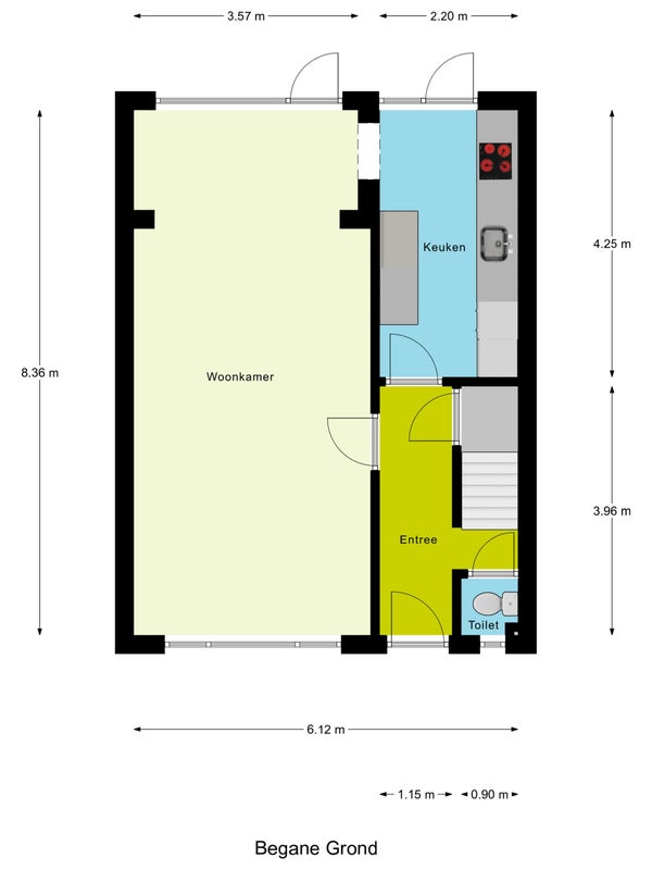
Deze ruime, karakteristieke hoekwoning, gebouwd in 1951, biedt een woonoppervlakte van 114 m² en een inhoud van 433 m³. Gelegen op een kindvriendelijke locatie, dicht bij voorzieningen en op loopafstand van het centrum, beschikt het huis over 7 kamers. De begane grond heeft een ruime hal, een lichte woonkamer met een uitbouw, en een luxe keuken die in 2020 is vernieuwd met moderne apparatuur. Op de eerste verdieping zijn er drie slaapkamers en een badkamer met inloopdouche. De zolder, bereikbaar via een vaste trap, bevat twee bergingen en een nog af te werken zolderkamer met dakkapellen. De achtertuin heeft twee terrassen en een berging. De woning is goed onderhouden, met isolatie en moderne kozijnen, en biedt parkeermogelijkheden in de straat.
Overdracht
- Vraagprijs
- € 375.000 k.k.
- Aangeboden sinds
- 28-01-2026
- Status
- Beschikbaar
- Beschikbaar
- Per direct
Oppervlakte en inhoud
- Woonoppervlakte
- 114 m²
- Perceeloppervlakte
- 130 m²
Bouw
- Type woning
- Huis
- Soort woning
- Tussenwoning (rijtjeshuis), Eengezinswoning
- Soort bouw
- Bestaande bouw
- Bouwjaar
- 1951
Indeling
- Aantal kamers
- 7
- Aantal slaapkamers
- 3
- Aantal badkamers
- 1
Buitenruimte
- Dakterras
- Niet aanwezig
Energie
- Energielabel
- C