Contact met de aanbieder

Deze woning is gevonden buiten ons eigen netwerk. Via de knop hieronder ga je direct naar de website van de aanbieder.

Nieuw

Greyenstraat 41

Bekijk kaart
5928 PM Venlo (Horsterweg)
€ 425.000 k.k.
  • 109 m²
  • 4 kamers
  • 2005

Samenvatting

  • Deze woning wordt sinds 24 februari 2026 aangeboden door Hauzer & Partners;
  • De tussenwoning heeft een woonoppervlakte van 109 m² en beschikt over 4 kamers, waarvan 3 slaapkamers;
  • De woning is gebouwd In 2005 en ligt in de buurt Horsterweg in Venlo.

Beschrijving

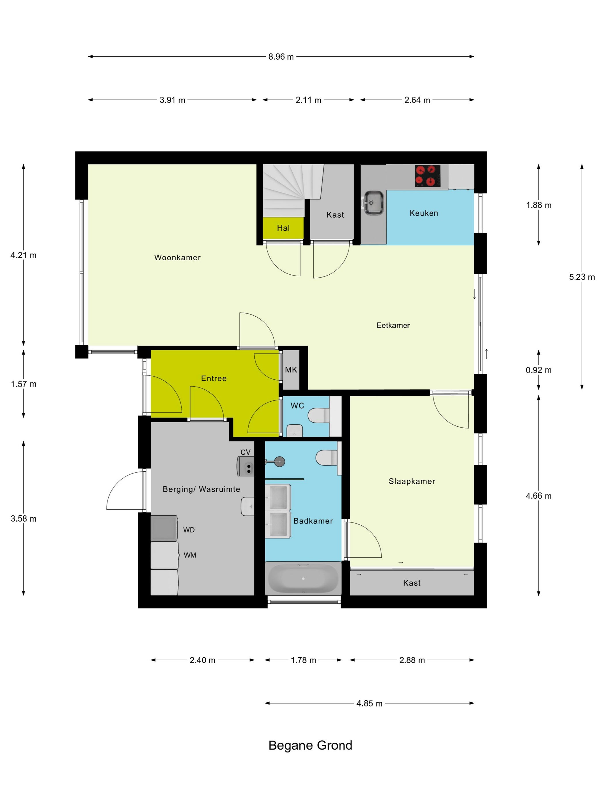
Deze levensloopbestendige twee onder een kapwoning biedt veel comfort met een slaapkamer en badkamer op de begane grond, en twee extra slaapkamers op de verdieping. De woning heeft een woonoppervlakte van 109 m² en een inhoud van 412 m³, gebouwd in 2005 op een perceel van 265 m². Op de begane grond vindt u de entree, hal, toilet, en een woonkamer met eiken vloerdelen en zicht op een groenvoorziening. De L-keuken is uitgerust met moderne apparatuur en biedt toegang tot de onderhoudsvriendelijke, op het zuiden gelegen tuin met een ruime berging. De slaapkamers op de eerste verdieping zijn voorzien van rolluiken. De woning is goed geïsoleerd, heeft energielabel A en biedt parkeermogelijkheden op eigen terrein.

Overdracht

Vraagprijs
€ 425.000 k.k.
Prijs per m²
€ 3.899
Aangeboden sinds
24-02-2026
Status
Beschikbaar
Beschikbaar
Per direct

Oppervlakte en inhoud

Woonoppervlakte
109 m²
Perceeloppervlakte
265 m²

Bouw

Type woning
Huis
Soort woning
Tussenwoning (rijtjeshuis), Eengezinswoning
Soort bouw
Bestaande bouw
Bouwjaar
2005

Indeling

Aantal kamers
4
Aantal slaapkamers
3
Aantal badkamers
1

Buitenruimte

Dakterras
Niet aanwezig

Energie

Energielabel
A
Meld een probleem met deze woning